BHKW-Fernbedienung mit Browser (Firefox) über Ethernet oder WLAN

© Dagego

BHKW von Dagego können mit Computer, Tablet oder Smartphone fernbedient werden.

Warum das?

Wie Sie wissen, haben wir vor einiger Zeit die stromgeführte Betriebsweise als Option anbieten können.

Damit, das wissen Sie, ist es dem Betreiber möglich, nur so viel Strom zu erzeugen wie tatsächlich benötigt wird. Die Folge ist eine deutlich verbesserte Wirtschaftlichkeit.

Darauf haben wir uns nicht ausgeruht, sondern haben das nächste Ziel gesteckt.

Die Bedienung musste komfortabler werden.

Nicht das sie das nicht ist.

Der Start des NEB-Regler (Null-Einspeise-Null-Bezug-Regler) ist bei uns mit einem Klick erledigt.

Jedoch musste man dazu noch in den Keller.

Es war daher unser Ziel, alle relevanten Funktionen fernbedienbar auszuführen. Damit die Funktionen sinnvoll gestartet werden, bedarf es weiterer Informationen. Die sollten ebenfalls komfortabel zur Verfügung stehen.

Das ist nun der Fall. Im Browser klicken Sie das BHKW an und erfahren,

Starten und Stoppen Sie nun Ihr BHKW zur Stromerzeugung oder Wärmeerzeugung ganz wie es Ihnen beliebt und von wo immer Sie möchten.

BHKW - Bedienung vom Sessel

Schnick-Schnack-Free!

Im folgenden finden Sie einige Screenshots die das simple Bedien-Geschehen verdeutlichen.

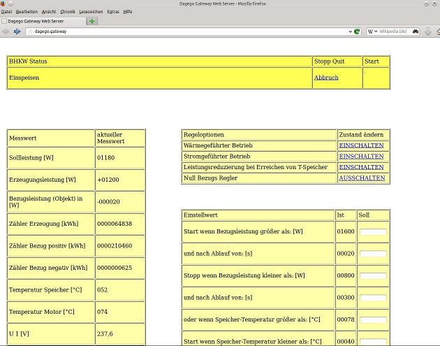
Gesamtübersicht: Oben ist die Statusleiste. Auf der linken Seite gibt sie Auskunft über die aktuelle Situation am BHKW. Rechts kann z.B. ein manueller Start initialisiert werden. Zu einem anderen Zeitpunkt kann hier eine Meldung quittiert werden.

Unter der Statusleiste Links sind die aktuellen Messwerte vom BHKW zu sehen.

Rechts können Änderungen am BHKW Start Stopp Verhalten durchgeführt werden. Regler können direkt durch Klicken auf "Starten" eingeschaltet werden.

Detailansicht: Einstellwerte werden direkt in die Felder eingegeben.

Hier wurde die Änderung eines für den automatischen Start notwendigen Parameters vorbereitet. Durch Betätigen der Entertaste wird der Vorgang abgeschlossen. Damit er wirksam wird, muss einige Zeilen darüber noch ein Klick auf "Einschalten" rechts neben "stromgeführter Betrieb" durchgeführt werden.

Die Folge ist ein automatischer Start, nachdem die Bezugsleistung im Haus über 1800W angestiegen ist.

Ablauf manueller Start: Auf vier Screenshots sind die einzelnen Phasen vom "Vorglühen" bis zum "Synchronisieren" zu sehen. Beachten Sie die Texte jeweils links oben.

Ein Abbruch ist jederzeit möglich (Siehe Statusleiste Rechts "Abbruch").

Der letzte Schritt vor dem Einspeisen ist das "Synchronisieren ". Für die Fernwartung ist die detaillierte Kontrolle außerordentlich wertvoll.

Die Startphase ist beendet. Das BHKW erzeugt Strom.

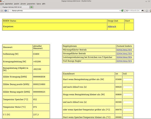
Das wird in der Statusleiste mit dem Text "Einspeisen" markiert.

Die Sollleistung von 5kW ist noch nicht erreicht, da der Motor langsam warm gefahren wird.
Da im Haus eine aktueller Bedarf von ca. 1100W besteht, wird der überschüssige Strom eingespeist: 3200W - 1100W = 2100W

In der Grafik wird das als negative Bezugsleistung dargestellt: -2100W

Der NEB-Regler (Null-Einspeise-Null-Bezug-Regler) ist eingeschaltet worden (Siehe Mitte Rechts).

Die Sollleistung wurde auf den aktuellen Bedarf im Haus angepasst. Aktuell liegt der bei 1180W. Die Maschine ist der Vorgabe schon gefolgt. Die Erzeugungsleistung liegt bei 1200W. Eine kleine Abweichung von 20W wird noch eingespeist.

Weitere Informationen zum NEB-Regler finden sie hier. Weiter

Welche Vorteile ergeben sich für den BHKW Betrieb

In Verbindung mit dem Modul für die stromgeführte Betriebsweise können Sie Ihren aktuellen Stromverbrauch permanent überwachen.

Auch wenn das BHKW ruht. Entscheiden Sie selbst, ob Sie diesen Komfort nur in Ihren vier Wänden nutzen möchten oder eben weltweit.

Struktur Gateway

Der Zuwachs an Photovoltaikanlagen und Windkraftanlagen ist ungebremst. Die zwangsläufige Folge ist ein steigender Strompreis und ein Strompreis der erheblichen Schwankungen unterliegen wird. (Mit smarten Stromzählern keine Utopie.)

An trüben, windarmen Tagen wird der Strom richtig teuer. Günstiger erhält man ihn, wenn es auffrischt, oder die Sonne die Wolkendecke durchbricht. Dafür sind Sie nun gewappnet. Ob sich der Start lohnt, oder nicht. Sie haben die "volle Kontrolle"!

Managen Sie darüber hinaus die nächste Wartung, denn Sie sind Kraftwerks-Betreiber mit Berechtigung zur Fernwartung!

Wenn in Ihrer Straße mal wieder die PKWs erneuert werden, überraschen Sie mit Ihrem Kraftwerk im Keller. Ihr Smartphone haben Sie ja dabei.

Welche Voraussetzung müssen für den BHKW Betrieb erfüllt werden.

Struktur Gateway

Auf Ihrem Computer, Tablet oder Smartphone ist ein Browser (Firefox) installiert. Der Browser ist die einzig benötigte Software.

Sie haben einen Router, an dem das BHKW angeschlossen werden kann.
Alle im Netzwerk integrierten Geräte können auf das BHKW zugreifen.

Wenn Sie das BHKW direkt mit Ihrem Computer verbinden, kann das BHKW auch nur von diesem einen Computer bedient werden.

Voraussetzung für die Nachrüstung

Sie sind im Besitz einer Anlage von Dagego?

Dann ist sie leicht nachrüstbar, wenn die Anlage mindestens die Version V4 hat.

Weitere Informationen finden Sie hier

Gateway Produktseite

BHKW in Hausautomation einbinden